Článek
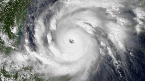
Těžko hledat hurikán, který by na mapě postupoval tak pomalu a přitom napáchal tolik škody jako Mitch. Vznikl nad velmi teplou vodou jihozápadního Karibiku, zesílil do extrému a potom se u pobřeží Hondurasu téměř zastavil. Největší tragédii nepřinesl vítr, ale dny vytrvalého deště, které spustily záplavy a sesuvy půdy v hornatém terénu Střední Ameriky.
Mitch se zformoval jako tropická deprese 22. října 1998 a během čtyř dnů se stal hurikánem páté kategorie. V maximu dosáhl 155 uzlů (≈ 180 mph) a minimálního tlaku 905 mb – nejnižšího, jaký byl kdy v Atlantiku v říjnu naměřen. Poté se u severního pobřeží Hondurasu pohyboval rychlostí menší než 4 uzly, což znamenalo „mlýnek na vodu“: srážky se kumulovaly na návětrných svazích a řeky vystoupily z břehů. Oficiálně bylo v Hondurasu zaznamenáno až 35,9 palce (≈ 912 mm) srážek ve městě Choluteca.
Dohra byla děsivá. NHC (National Hurricane Center) odhaduje bilanci na 9 086 obětí, převážně v Hondurasu a Nikaragui, což řadí Mitch mezi vůbec nejsmrtelnější atlantské bouře novodobé historie. V učebnicích meteorologie proto Mitch zůstává varováním: kategorie na stupnici podle větru neřekne celý příběh – rozhodující může být pomalý postup, terén a voda.
Jak vzniká hurikán
Základní princip: hurikán je teplotní motor. Teplý oceán ohřívá a zvlhčuje vzduch těsně nad hladinou. Ten stoupá, pára v něm kondenzuje a uvolní teplo, které zvedne další vzduch. Vznikne kolotoč bouřek, který si sám přisává nový teplý a vlhký vzduch od moře. Když se to rozběhne nad dostatečně teplou vodou a vítr „nekrájí“ bouřky ve výšce, systém se zorganizuje do tropické bouře a pak hurikánu.
Pět ingrediencí, bez kterých to obvykle nejde
- Teplá voda minimálně kolem 26,5–27 °C (≈ 80 °F) — ideálně i do hloubky desítek metrů, aby vlny nepromíchaly chladnější vodu nahoru. Bez tohoto prahu bouře obvykle nevzniknou.
- Dost vlhkosti ve střední troposféře — suchý vzduch vývoj roztrhá.
- Malý vertikální střih větru — když s výškou fouká jiný směr/rychlost, rotující jádro se rozpadá.
- „Spouštěč“ rotace — nejčastěji tropická vlna putující z Afriky přes Atlantik, někdy zbytková bouřka či konvergence.
- Dostatečná Coriolisova síla — nejčastěji dál než ~5° od rovníku, aby se systém roztočil; přímo u rovníku je Coriolis slabý.
Jak se z hromady bouřek stane hurikán
- Zárodek (tropická porucha) seskupí bouřky do spirál; uprostřed klesá tlak, vzduch se sbíhá do středu a otáčí (cirkulace).
- Kondenzace uvolňuje skryté (latentní) teplo → nižší tlak → silnější přísun teplého vzduchu → rychlejší vítr.
- Pokud podmínky vydrží, vznikne oko (klidný střed) obehnané eyewallem (prstenec nejsilnějších bouří).
Co hurikán brzdí a zabíjí
- Chladnější voda, suchý vzduch nebo silný střih větru (rozvrátí jádro).
- Pevnina: chybí teplé „palivo“ a přibývá tření. Proto bouře při vstupu nad pevninu obvykle slábnou.
Pozor na častý omyl
- Saffir–Simpsonova stupnice měří jen vítr — neříká nic o dešti ani přívalové vlně (storm surge), které bývají nejnebezpečnější. Dnes proto meteorologové vydávají samostatná varování na storm surge a k dopadům používají i další produkty (mapy srážek, velikost pole větru).
Krátká přirovnání, která fungují
- Kotel + komín: teplé moře = kotel, kondenzace = spalování, stoupající vzduch = tah komína.
- Kolotoč: Coriolisova síla dává systému směr rotace, ale sama nevytváří energii — tu dodává teplo z oceánu
Saffirova–Simpsonova stupnice
Co přesně měří: Je to pětistupňová škála, která hodnotí pouze maximální stálý vítr hurikánu, a to jako 1-minutový průměr větru měřený ve výšce 10 metrů na otevřeném prostranství. Nezahrnuje déšť, velikost bouře ani přívalovou vlnu.
Kategorie 1 znamená, že hurikán má stálý vítr 74–95 mph (64–82 uzlů), tedy zhruba 119–153 km/h. Očekává se poškození střech a stromů a výpadky proudu, ale obvykle ne rozsáhlé strukturální škody.
Kategorie 2 odpovídá 96–110 mph (83–95 kt), zhruba 154–177 km/h. Škody jsou větší — výraznější zásahy do střech, oken a delší výpadky infrastruktury.
Kategorie 3 (tzv. major hurricane) začíná na 111–129 mph (96–112 kt), tedy 178–208 km/h. Tady už mluvíme o devastujících škodách: mnoho budov s vážně poškozenou střechou, dlouhá neobyvatelnost některých oblastí. „Major“ jsou všechny bouře od kategorie 3 výš.
Kategorie 4 představuje 130–156 mph (113–136 kt), přibližně 209–251 km/h. Následky bývají katastrofické: rozsáhlá poškození konstrukcí a velmi dlouhé přerušení dodávek energií.
Kategorie 5 je vše od 157 mph (≥137 kt) výše, tedy 252 km/h a víc. To je úroveň, kdy celé čtvrti mohou být dlouhodobě neobyvatelné.
Důležité omezení: Stupnice říká hodně o větru, ale málo o vodě. Nejvíc životů přitom často bere přívalová vlna a povodně z deště. Proto americká meteorologická služba od roku 2017 vydává samostatná varování na storm surge (Storm Surge Watch/Warning) a NHC k bouřím publikuje i další mapy dopadů. Kategorie ≠ celkové riziko.
„Větší“ než Mitch: Wilma (2005)
Wilma je měřítkem extrému. Dosáhla rekordně nízkého tlaku 882 mb — nejnižšího v dějinách Atlantiku — a krátce měla miniaturní oko o průměru jen ~2 námořní míle. To je mimořádná kombinace kompaktního jádra a extrémního prohloubení (rapid deepening). NHC ten rekord potvrzuje v oficiální zprávě o hurikánu Wilma.
Mitch (1998)
Mitch dosáhl 155 kt (≈ 180 mph) a 905 mb, což z něj dělá jeden z nejintenzivnějších říjnových hurikánů v Atlantiku vůbec. Jeho „síla na papíře“ (vítr/tlak) byla o něco menší než u Wilmy, ale dopady v terénu byly devastující hlavně kvůli pomalému pohybu a extrémním srážkám.
Dva „menší“ příklady pro kontrast: Katrina (2005) a Andrew (1992)
- Katrina: Na volném oceánu před dopadem na pevninu měla maximum 150 kt (≈ 175 mph), tedy o krok méně než Mitch (155 kt). Zároveň byla mimořádně rozlehlá, takže i při slabším větru při landfallu způsobila obrovskou storm surge. NHC uvádí 150 kt v TCR; NOAA shrnuje, že při hlavním landfallu šlo „jen“ o silnou kategorii 3, ale s mimořádně nízkým tlakem a ničivou vlnou.
- Andrew: Po reanalýze NHC je potvrzen landfall na Floridě jako kategorie 5 s odhadovaným větrem ~145 kt (≈ 165 mph). Větrně tedy o chlup „menší“ než Mitch v maximu, ale při dopadu na pevninu šlo o nejvyšší kategorii — extrémní vítr v úzkém pásu.
Dopady Mitche
Mitch se po dosažení maxima nad jihozápadním Karibikem na celý týden pohyboval rychlostí pod 4 uzly, prakticky „mlel“ vodu u pobřeží Hondurasu a Nikaraguy. Tak pomalý postup nad teplým mořem znamenal extrémní, vícedenní lijáky — oficiálně až 35,9 palce (≈ 912 mm) v honduraské Cholutece. V hornatém reliéfu Střední Ameriky se srážky hromadily na návětrných svazích a měnily říční údolí v proudy bahna a kamení.
Bilance lidských ztrát byla mimořádná: NHC uvádí zhruba 9 086 obětí, převážně v Hondurasu a Nikaragui; Mitch tak patří mezi nejsmrtelnější atlantické cyklóny moderní doby. Zpráva NHC výslovně zdůrazňuje, že smrtelný účinek způsobil déšť, bleskové povodně a sesuvy, nikoli samotný hurikánový vítr.
Nejtragičtější epizoda přišla v Nikaragui na svazích sopky Casita: pět dnů intenzivních dešťů uvolnilo masivní kolaps svahu, který se proměnil v lahar (bahnotok) a pohřbil celé vesnice v oblasti Posoltegy. Odhady mluví o více než 2 000 obětech z této jediné události. USGS detailně popisuje objem sesuvu i mechanismus, který spustily srážky spojené s Mitchem.

Foto následků laharu na svazích sopky Casita
Infrastruktura a hospodářství utrpěly škody, jaké region dlouho nepamatoval. Honduras přišel o desítky procent zemědělské produkce, zničeny byly silnice i mosty, v Nikaragui byly desítky tisíc domů poškozeny či zničeny a stovky tisíc lidí zůstaly bez přístřeší. Humanitární zprávy OSN/ReliefWeb z listopadu 1998 popisují kolaps dopravy, přerušení zásobování a masivní zemědělské ztráty napříč regionem. (Ekonomické odhady škod se v odborné literatuře pohybují v řádu 6–8,5 mld. USD.)
Proč byla voda horší než vítr? Mitch ukazuje, že kategorie podle větru nepostihuje celý risk. Kombinace mimořádně pomalého postupu, orografie (hřbety s výškami až ~3 000 m) a křehké infrastruktury proměnila tropickou cyklónu v katastrofu povodní a sesuvů. NHC to v závěru své zprávy formuluje jasně: „těžké deště způsobily bleskové povodně a sesuvy, které zabily tisíce lidí“.
Politika ochrany
- Největším zabijákem u hurikánu je voda, ne vítr. Proto USA od sezóny 2017 zavedly samostatná varování na přívalovou vlnu: Storm Surge Watch (≈ 48 h dopředu, možnost životu nebezpečného zaplavení) a Storm Surge Warning (≈ 36 h, očekává se životu nebezpečné zaplavení). Tyto produkty běží operativně u NHC/NWS a jsou vidět i v jejich grafech a GIS archivech.
- „Early Warnings for All“ do roku 2027. OSN (UNDRR) a WMO tlačí globální cíl, aby měl každý člověk funkční vícehazardní varování – od detekce přes předpověď až po doručení sdělení obyvatelům a připravené reakce. Cíl vyhlásil generální tajemník OSN v roce 2022, iniciativu průběžně reportují WMO/UNDRR.
- Evakuace a mapy rizik. Varování mají smysl jen tehdy, když existují jasné evakuační plány a mapy ohrožení povodněmi/surge, které úřady průběžně aktualizují a lidé je znají (komunikace „mimo pouhou kategorii“ – tj. říkat kdo, kdy, kam). NHC k tomu publikuje zvlášť storm-surge grafiku pro ohrožené oblasti.
- Stavební normy a odolnost. U pobřeží rozhoduje kvalita konstrukcí (kotvení střech, okna/žaluzie, elevace přízemí v zaplavovaných zónách). To nezachrání vše, ale snižuje ztráty a umožní rychlejší návrat života po katastrofě — standardní závěr WMO/UNDRR v rámci EW4All.
Zdroje: AL131998_Mitch.pdf
Pokud Vás mé články baví, nezapomeňte mě sledovat, protože vydávám každý den alespoň jeden článek. Budu rád za každý příspěvek do diskuze a největší radost mi samozřejmě udělá příspěvek pro podporu mé tvorby. Díky.








