Článek
Když se na podzim ochladí a stromy začnou shazovat listí, všude kolem nás se odehrává tichý, nenápadný pohyb. Pro nás znamená spadané listí jen další úklid, ale pro drobný hmyz začíná boj o přežití. V trávě, pod kameny i v záhybech suchého listí se hemží stovky malých tvorů, kteří hledají úkryt před zimou. A mezi nimi i jeden, který se poslední roky stal takřka symbolem těchto chladných dnů – ploštička obecná, latinsky Rhyparochromus vulgaris.
Je to ten drobný hnědavý brouček, kterého možná najdete na zácloně, na parapetu nebo na zdi u okna. Kdo topí dřevem, často ji může najít schovanou pod kouskem kůry, v mezírce mezi dřevěnými vlákny nebo zkrátka jen mezi jednotlivými polínky. Neškodný, tichý, poměrně pomalý hmyz – a přesto dokáže vyvolat nečekanou dávku pozornosti, když se objeví v obýváku. Mnozí ji považují za nového vetřelce, který se k nám nastěhoval z jihu. A v jistém smyslu je to pravda. Jenže příběh téhle ploštice je mnohem zajímavější než pouhé „lezoucí otravné cosi“.

Ploštička obecná, zvaná někdy též pozemka obecná
Ploštice, která má ráda sucho
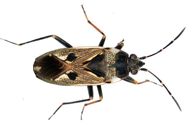
Ploštička obecná patří mezi suchomilné druhy ploštic z čeledi Lygaeidae. Její tělo měří sotva půl centimetru, přesto je dokonale vybavené k životu v drsném světě podzimního opadu. Zploštělý tvar jí umožňuje proklouznout i nejmenší škvírou, hnědavá barva splyne s okolím a dlouhé nožky jí dovolí pohybovat se rychle i v nerovném terénu.
Když se na ni podíváte pod lupou, uvidíte jemnou kresbu – na štítu tmavší skvrnu, křídla s průsvitnými okraji a tykadla, která se neustále pohybují, jako by testovala vzduch. Není nijak výjimečně krásná, ale má své kouzlo v drobné dokonalosti. Živí se semeny rostlin, která vysává pomocí bodavě-savého sosáku. Tím, že se živí suchými semeny, nijak nepoškozuje živé rostliny – spíš „uklízí“ to, co už spadlo na zem. V přírodě tak hraje malou, ale důležitou roli v rozkladu organické hmoty.
Cesta ze Středomoří
Ještě před pár desítkami let byla Rhyparochromus vulgaris známá hlavně v jižní Evropě. Vyskytovala se v Itálii, Španělsku nebo na Balkáně, tedy v oblastech s horkými léty a suchými zimami. V našich končinách ji nikdo moc neznal. Jenže v devadesátých letech se začala pomalu šířit na sever – nejdřív do Německa, pak do Polska a nakonec i k nám. Dnes ji najdeme v celé střední Evropě a stala se běžnou součástí naší fauny.
Proč? Vysvětlení je víc. Zčásti za to může oteplování klimatu – zimy jsou mírnější a druhy, které dřív v chladnějších oblastech nepřežily, se dnes dokážou udržet. Pomohla i doprava a obchod. Suché zboží, stavební materiál, palety, zahradní substráty – to všechno jsou ideální „dopravní prostředky“, ve kterých se může malý hmyz nenápadně přesunout stovky kilometrů.
A tak se ploštička vydala na sever. Nejprve jako vzácný druh, pak jako občasný host a nakonec jako běžný obyvatel. Dnes ji najdeme v parcích, na zahradách, u cest, na okrajích lesů i v městských trávnících. Stačí, aby bylo trochu tepla a sucha, a ploštička si místo najde.

Ploštička obecná
Život v listí a mezi kameny
V přírodě vede nenápadný život. Nejraději má suchý opad listí, kde najde potravu i úkryt. Tam se pohybuje mezi zrnky písku, drobnými semeny a zbytky rostlin. Všechno, co pro nás vypadá jako špína nebo odpad, je pro ni celý svět.
Na jaře a v létě klade samička vajíčka, z nichž se líhnou malé nymfy – miniaturní verze dospělých ploštic. Ty procházejí několika svlékáními, než dospějí. V závislosti na počasí může mít ploštička i dvě generace ročně.
Zajímavé je, že na rozdíl od jiných ploštic nelétá příliš často. Umí to, ale obvykle se spoléhá na běh a krátké poskoky. Její síla není v rychlosti, ale v nenápadnosti. Když se cítí ohrožená, prostě ztuhne a dělá mrtvou. V přírodě jí to funguje – málokterý pták nebo pavouk si jí vůbec všimne.
Na podzim hledá teplo
Všechno se mění s příchodem podzimu. Teplé dny mizí, semena už vyschla a v listí začíná být chladno. A tehdy se ploštička vydává hledat nové útočiště – místo, kde přečká zimu.
V přírodě by zalezla hluboko do suchého listí, pod kůru stromů nebo do škvír v kamenech. Ale ve městech a na vesnicích už dávno nejsou jen lesy a louky. Jsou tu domy, sklepy, garáže a panelové zdi – místa, která přesně odpovídají jejím požadavkům: sucho, klid, stálá teplota. A tak se ploštička stěhuje k nám.
Kdo ji někdy doma našel, ví, že nepůsobí nijak děsivě. Nevrčí, nelétá, neskáče, jen pomalu leze a hledá kout, kde by mohla zůstat. Někdy se schová za závěs, jindy do rámu okna, do štěrbiny pod parapetem nebo pod květináč. Někdo ji zlikviduje jako nežádoucí hmyz, aniž by tušil, že právě zničil neškodného tvora, který se jen snažil přežít zimu.
Neškodný spolubydlící
Na rozdíl od některých jiných ploštic ploštička obecná nezapáchá. Nemá obranné žlázy s typickým nepříjemným zápachem, který známe od zákeřnic nebo kněžic. Také neštípe, nekouše a nepoškozuje žádný materiál v domě. Nepřijde kvůli jídlu, nejde po potravinách ani po textilu – jen hledá místo, kde bude mít sucho a klid.
Pokud se jich v bytě objeví víc, je to nejspíš tím, že se dostaly dovnitř náhodou, třeba při větrání. Nejjednodušší způsob, jak se jich zbavit, je prostě je vynést ven nebo je vysát a pustit dál od domu. Chemické postřiky nebo drastické zásahy jsou zbytečné – a upřímně řečeno, trochu nespravedlivé vůči tomuto malému tvorovi.
Malý příběh velkých změn
Rozšíření ploštičky obecné v posledních desetiletích je pro entomology zajímavým fenoménem. Ukazuje, jak rychle dokáže hmyz reagovat na změny prostředí. Oteplování klimatu, urbanizace, globální obchod – všechno, co mění náš svět, mění i život drobných tvorů, o nichž jsme dřív ani nepřemýšleli.
Z pohledu přírody je ploštička přizpůsobivý specialista. Dokáže využít prostředí, které jsme vytvořili. Panelové spáry, betonové zdi, větrací otvory – to všechno jsou pro ni jen nové typy úkrytů. Vlastně jí lidská civilizace otevřela víc možností, než jí kdy poskytl lesní opad.
Je to zároveň připomínka toho, že náš svět sdílíme s nespočtem malých tvorů, o nichž obvykle nevíme. Přicházejí a odcházejí, aniž by po sobě zanechali škodu, a přesto o nich mluvíme jako o „invazích“. Možná bychom měli spíš obdivovat jejich vytrvalost.
Když se díváme pozorněji…
Když se ploštička na chvíli zastaví a my se na ni zadíváme, zjistíme, že v tom drobném tělíčku je kus dokonalosti. Každý kloub, každý článek tykadla, křídla složená do kosočtverce – všechno má svůj smysl. Je to tvor, který se evolučně vybrousil do posledního detailu.
Naše představa, že „otravný hmyz“ je něco méněcenného, je lidský omyl. Ploštička je v jistém smyslu přírodní úspěch – dokázala přežít v proměnlivém světě, kde větší a nápadnější druhy dávno vyhynuly. My lidé jsme pro ni jen další součást krajiny.
Ploštička obecná (Rhyparochromus vulgaris) je drobná, nenápadná, ale neobyčejně přizpůsobivá ploštice. Původně středomořský druh se během několika desetiletí rozšířil po celé střední Evropě a dnes je běžnou součástí naší přírody – i našich domovů. Živí se semeny, na podzim hledá úkryt, kde by přečkala zimu, a často ho najde právě u lidí. Je zcela neškodná. Jen tichý, maličký doklad toho, jak se svět mění – a s ním i život těch nejmenších tvorů.
Článek byl sepsán na základě informací z následujících zdrojů:
https://www.forum24.cz/neprijemny-brouk-zaplavil-vesnice-u-nasich-sousedu-je-toho-hrozne-moc-hlasi-zoufali-obyvatele
http://10000thingsofthepnw.com/2021/12/19/rhyparochromus-vulgaris/
https://urbanipm.montana.edu/entomology/resources/fact-sheets/dirt.colored.seed.bugs.html
https://bugswithmike.com/guide/arthropoda/hexapoda/insecta/hemiptera/heteroptera/pentatomomorpha/lygaeoidea/rhyparochromidae/rhyparochrominae/rhyparochromini/rhyparochromus/vulgaris
https://muzeum3000.nm.cz/veda/plostice-jako-vetrelci-v-domacnostech






